Save
Ask
Tour
Hide
$999,500
2 Days On Site
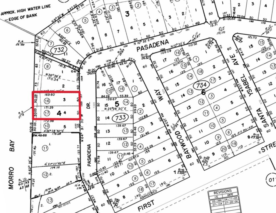
0 PasadenaLos Osos, CA 93402
For Sale|Land|Active
Subdivision:
Town of El Moro(680)
County:
San Luis Obispo
Listed by Steve Auslender of Dianne Blanchard, Broker [email protected]




Save
Ask
Tour
Hide
Mortgage Calculator
Monthly Payment (Est.)
$4,560Calculator powered by Showcase IDX, a Constellation1 Company. Copyright ©2026 Information is deemed reliable but not guaranteed.
Prime bay side land in beautiful Baywood Park. Unobstructed views of the back bay. Two adjacent lots totaling over 17,000 square feet combined. Listing price includes both lots. Build your dream home! Plans for a 3000 sq. foot home are available. Just steps from the Baywood Park Farmers Market, High Street Deli, Baywood Market, restaurants, and shops. #18 on the Los Osos Waitlist for Building Permits *Buyer to verify any restrictions on building with SLO Planning Dept.
Save
Ask
Tour
Hide
Listing Snapshot
Price
$999,500
Days On Site
2 Days
Bedrooms
N/A
Inside Area (SqFt)
N/A
Total Baths
N/A
Full Baths
N/A
Partial Baths
N/A
Lot Size
0.3933 Acres
Year Built
N/A
MLS® Number
SC26007383
Status
Active
Property Tax
N/A
HOA/Condo/Coop Fees
N/A
Sq Ft Source
N/A
Friends & Family
Recent Activity
| 3 days ago | Listing first seen on site | |
| 3 days ago | Listing updated with changes from the MLS® |
General Features
Acres
0.3933
Land Lease
No
Special Circumstances
Standard
Water Source
Public
Zoning
RSF
Save
Ask
Tour
Hide
Community Features
Community Features
FishingSuburban
Financing Terms Available
Cash
MLS Area
OSOS - Los Osos
This information is for your personal, non-commercial use and may not be used for any purpose other than to identify prospective properties you may be interested in purchasing. The display of MLS data is usually deemed reliable but is NOT guaranteed accurate by the MLS. Buyers are responsible for verifying the accuracy of all information and should investigate the data themselves or retain appropriate professionals. Information from sources other than the Listing Agent may have been included in the MLS data. Unless otherwise specified in writing, the Broker/Agent has not and will not verify any information obtained from other sources. The Broker/Agent providing the information contained herein may or may not have been the Listing and/or Selling Agent.
Neighborhood & Commute
Source: Walkscore
Save
Ask
Tour
Hide




Did you know? You can invite friends and family to your search. They can join your search, rate and discuss listings with you.