Save
Ask
Tour
Hide
$65,000
3 Days On Site
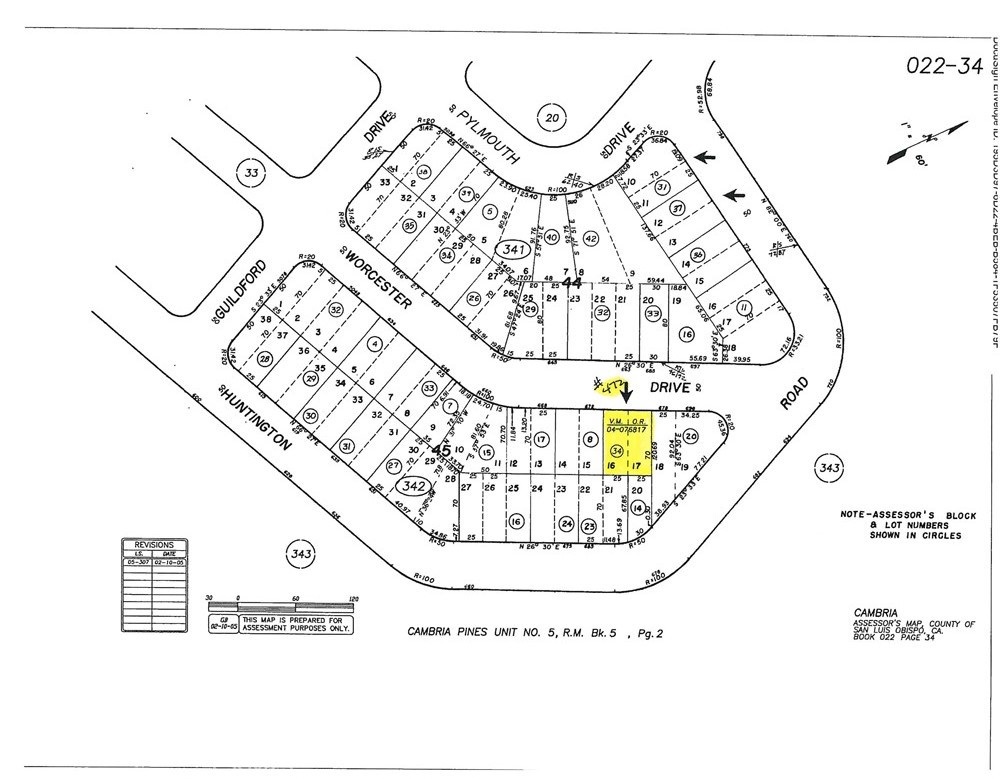
0 Worcester DriveCambria, CA 93428
For Sale|Land|Active
Subdivision:
Park Hill(460)
County:
San Luis Obispo
Listed by Jack Posemsky of Jack Posemsky Real Estate [email protected]



Save
Ask
Tour
Hide
Mortgage Calculator
Monthly Payment (Est.)
$297Calculator powered by Showcase IDX, a Constellation1 Company. Copyright ©2026 Information is deemed reliable but not guaranteed.
Park Hill double lot includes #468 on CCSD water wait list. Forest and Village views. Near the entrance to the Fiscalini Ranch walking trails and not far to the beach. Quiet part of the hill with lots of wildlife. Buy and Hold for now until the current building moratorium for new construction is lifted. Check CCSD and county websites (cambriacsd.org & slocounty.ca.gov) for info on the moratorium & allowable uses for property. Offered for $65,000.
Save
Ask
Tour
Hide
Listing Snapshot
Price
$65,000
Days On Site
3 Days
Bedrooms
N/A
Inside Area (SqFt)
N/A
Total Baths
N/A
Full Baths
N/A
Partial Baths
N/A
Lot Size
0.0803 Acres
Year Built
N/A
MLS® Number
SC26045687
Status
Active
Property Tax
N/A
HOA/Condo/Coop Fees
N/A
Sq Ft Source
N/A
Friends & Family
Recent Activity
| 4 days ago | Listing first seen on site | |
| 4 days ago | Listing updated with changes from the MLS® |
General Features
Acres
0.0803
Additional Property Use
Unimproved
Disclosures
CoastalZoneMoratorium
Land Lease
No
Sewer
Public Sewer
Special Circumstances
Standard
Water Source
Public
Zoning
RSF
Save
Ask
Tour
Hide
Exterior Features
Lot Features
Sloped Down
Road Frontage
County Road
View
HillsTrees/Woods
Waterview
HillsTrees/Woods
Community Features
Financing Terms Available
Cash
MLS Area
CAMB - Cambria
Roads
Paved
This information is for your personal, non-commercial use and may not be used for any purpose other than to identify prospective properties you may be interested in purchasing. The display of MLS data is usually deemed reliable but is NOT guaranteed accurate by the MLS. Buyers are responsible for verifying the accuracy of all information and should investigate the data themselves or retain appropriate professionals. Information from sources other than the Listing Agent may have been included in the MLS data. Unless otherwise specified in writing, the Broker/Agent has not and will not verify any information obtained from other sources. The Broker/Agent providing the information contained herein may or may not have been the Listing and/or Selling Agent.
Neighborhood & Commute
Source: Walkscore
Save
Ask
Tour
Hide




Did you know? You can invite friends and family to your search. They can join your search, rate and discuss listings with you.