1425 5th StreetColusa, CA 95932




Mortgage Calculator
Monthly Payment (Est.)
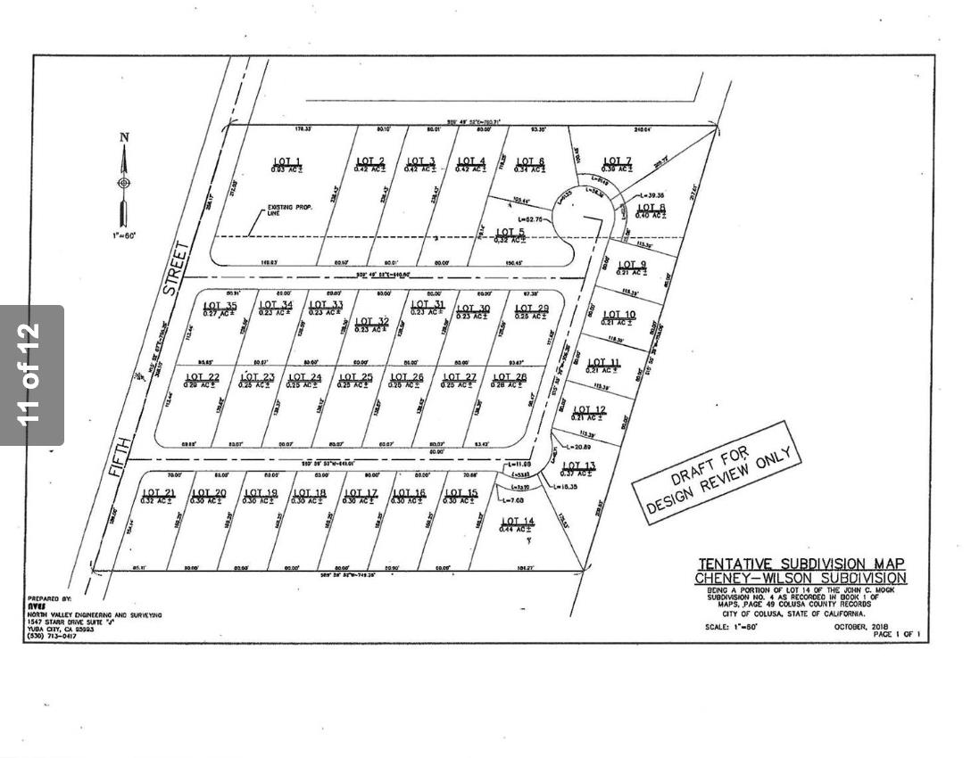
$3,422This property presents a rare and timely opportunity in the growing community of Colusa. With tentative approval already secured from the City of Colusa Planning Department for a 34-lot subdivision, along with a five-year map extension, the groundwork has been laid for a smooth transition into development. A Phase 1 Environmental Assessment has been completed, further streamlining the process and reducing risk for investors and builders. Located in the desirable southwest corner of Colusa, the site sits within city limits and is within walking distance of schools, parks, downtown amenities, and the Sacramento River. All essential utilities and services are available at the property frontage, providing the infrastructure necessary to move forward efficiently. This property is ideally positioned for a builder or investor to deliver much-needed housing in a supply-constrained market. The combination of approvals in place, accessible services, and a strong community location makes this a turnkey development prospect. With consistent local housing demand and limited opportunities for entitled land, this site represents one of the few remaining chances to create a thoughtfully planned neighborhood in Colusa.
| a month ago | Listing updated with changes from the MLS® | |
| 2 months ago | Price changed to $750,000 | |
| 5 months ago | Listing first seen on site |
All measurements and all calculations of the area are approximate. Information provided by Seller/Other sources, not verified by Broker. All interested persons should independently verify the accuracy of information. Provided properties may or may not be listed by the office/agent presenting the information. Data maintained by MetroList® may not reflect all real estate activity in the market. All real estate content on this site is subject to the Federal Fair Housing Act of 1968, as amended, which makes it illegal to advertise any preference, limitation or discrimination because of race, color, religion, sex, handicap, family status or national origin or an intention to make any such preference, limitation or discrimination. Terms of Use
Last checked 2026-02-12 08:55 PM PST




Did you know? You can invite friends and family to your search. They can join your search, rate and discuss listings with you.