3978 Mary AvenueOlivehurst, CA 95961



Mortgage Calculator
Monthly Payment (Est.)
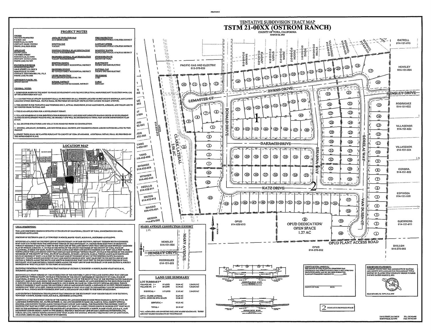
$13,345Welcome to Ostrom Ranch. The project consists of a tentative subdivision tract map that would create 117 residential lots on 21.83 acres, a Lot A - Clark Lateral on 1.27 acres, and a Lot B - OPUD or Open Space on 2.06 acres of a 25.16-acre property. The project site is located at 3978 Unit #A Mary Avenue, at the south end of Donald Drive and 350 feet west of Mary Avenue, in the Olivehurst Community (APN: 014-850-014-000). The site is bordered by Mary Avenue to the east, the Union Pacific railroad (UPRR) tracks to the west, and the Olivehurst Public Utility District's (OPUD) Wastewater Treatment Facility to the south. The 2030 General Plan designates the land use as Valley Neighborhood and the zoning is RS'' Single Family Residential. The Ostrom Ranch Subdivision proposes 117 residences on roughly 25 acres for a density of 4.65 dwelling units per acre. The RS'' zoning allows a density on the site of 3 to 8 units per care. The property is currently undeveloped and vacant. Access will be on Donald Drive and a new 30 foot road, Hensley Drive, off of Mary Avenue. There are six new internal street proposed: Donald Drive, Bryne Drive, Brianna Way, Darrach Drive, Katz Drive, and Lorelai Way that will meet the 48 foot residential road width requirements. All roads will be required to be built to County Urban Local Road standards as a Condition of Approval of the map.
| 4 days ago | Listing first seen on site | |
| 4 days ago | Listing updated with changes from the MLS® |
All measurements and all calculations of the area are approximate. Information provided by Seller/Other sources, not verified by Broker. All interested persons should independently verify the accuracy of information. Provided properties may or may not be listed by the office/agent presenting the information. Data maintained by MetroList® may not reflect all real estate activity in the market. All real estate content on this site is subject to the Federal Fair Housing Act of 1968, as amended, which makes it illegal to advertise any preference, limitation or discrimination because of race, color, religion, sex, handicap, family status or national origin or an intention to make any such preference, limitation or discrimination. Terms of Use
Last checked 2026-04-13 01:28 AM PDT



